問い合わせリストに追加
土地物件詳細
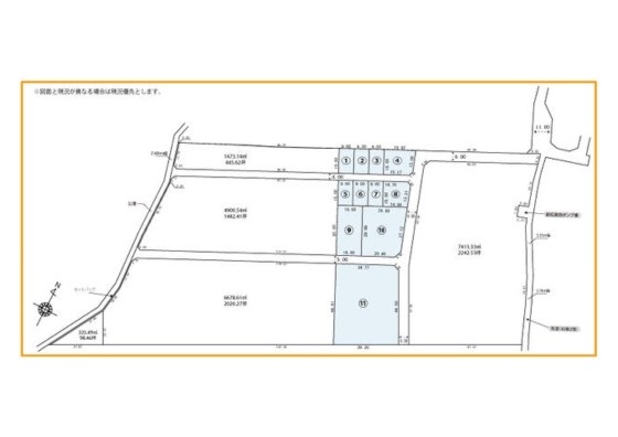
写真・配置図・間取り図など物件の詳細を紹介しています。ご関心をお持ちになりましたら、百聞は一見にしかずです。お電話またはお問い合わせフォームからご連絡をいただき、ぜひ一度ご見学ください。
千葉市若葉区若松町売地
物件No.25604
★約556坪の大型土地(他区画多数あり)
★「貝塚」ICや「四街道」ICから車で約5km
★資材・車輛・重機置場などに最適

| 種 別 | 売地 |
| 所 在 | 千葉市若葉区若松町115-4 |
| 価 格 | 2,785万円 |
| 地 積 | 1,840.45m²(556.74 坪) |
| 所在 | 千葉県千葉市若葉区若松町115-4 | 価格 | 2,785万円 |
| 交通 | |
| 土地面積 | 1,840.45m²(556.74 坪) | 地目 | 山林 |
| 土地権利 | 所有権 | 道路 | |
| 駐車場 | | 設備 | |
| 都市計画 | 区域内・市街化調整区域 | 用途地域 | 無指定 |
| 建ぺい率 | % | 容積率 | % |
| 備考 | JR「四街道駅」車約8分/JR「都賀」駅車約10分/モノレール「桜木町」駅車約9分
申し込み順に一定期間内に諸条件合意の時、契約となります。
土地の分割等はお気軽にご相談下さい。 |
| 現況 | 更地 | 引渡条件 | 現況有姿 |
| 引渡日 | 相談 | 取引態様 | 仲介 |
| 更新日 | 2026年03月17日(登録日2026年01月16日) | 次回更新日 | |